缩略图:

类型:
区:
城市:
上海
建筑面积最小:
120.00
建筑面积:
210.00
参考总价其他:
待定
标签:
楼盘地址:
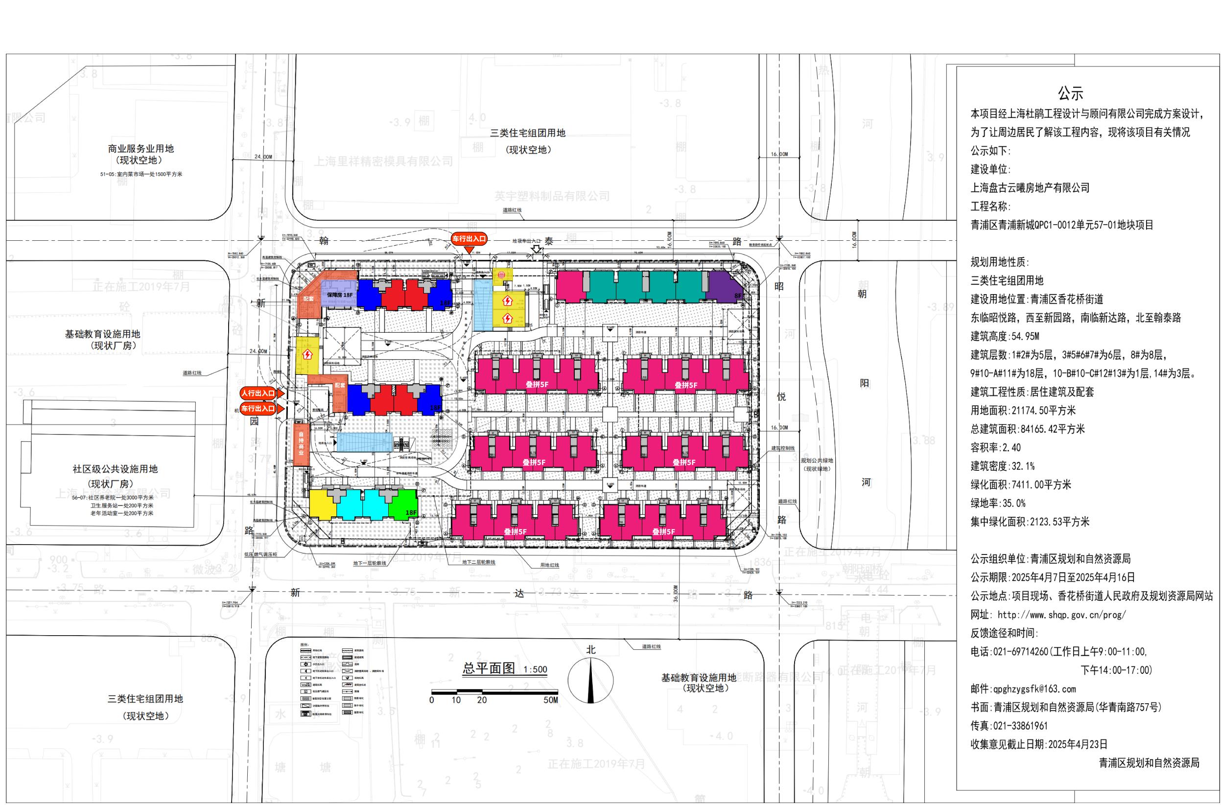
上海市青浦区昭悦路与新达路交汇处
开发商:
盘古
建筑面积:
50818.80m²
容积率:
2.40
物业公司:
待定
车位配比:
1:1.32
梯户比:
1T1/1T2
总户数:
392
周边设施:
图片:

设施:
地铁
距离信息:
名称:
17号线/示范区线(青浦新城)
距离:
1km
图片:


设施:
商圈
距离信息:
名称:
青浦绿地缤纷城
距离:
1km
名称:
东方商厦(青浦店)
距离:
2.5km
名称:
青浦宝龙广场
距离:
2.8km
图片:


设施:
学校
距离信息:
名称:
上海市青浦佳禾小学
距离:
1.2km
名称:
青浦区逸夫小学
距离:
1.9km
名称:
青浦区高级中学
距离:
2.1km
名称:
青浦区第一中学
距离:
2.1km
图片:

设施:
医院
距离信息:
名称:
复旦大学附属中山医院(青浦分院)
距离:
1.7km
图片:

介绍:
【交通配套】:项目距离17号线(青浦新城站)约1km,17号线直达虹桥枢纽,无缝换乘2号线、10号线、13号线西延伸(建设中);上海示范线路(在建),向东4站抵达虹桥前湾,向西直达长三角示范区;嘉青松金市域线路(规划中),全新的城市轨道交通系统,可以快速通达上海其他新城。自驾可选崧泽高架、上海绕城高速、北青公路、外青松公路、沪青平公路等干道,可达全城。【商业配套】:有青浦绿地缤纷城、青浦宝龙广场、东方商厦(青浦店)、富绅商业中心等商业中心,能够满足购物、休闲、娱乐等日常需求。【教育配套】:2公里左右内有上海市青浦佳禾小学、青浦区逸夫小学、青浦区第一中学和上海市青浦高级中学。【医疗配套】:周边有复旦大学附属中山医院青浦分院,青浦区妇幼保健所,青浦区中医医院,及规划建设中的青西医疗中心(红房子医院、儿童医院、长三角智慧医院、中山医院新城分院等四所医院)。
图片:

区域发展介绍:
青浦新城是长三角一体化的主要落脚点,加上大虹桥规划势能辐射,青浦新城的潜力还是不容置疑的。项目地处青浦新城中央商务区,根据2021年9月颁布的《青浦新城总体城市设计》,中央商务区将有20余幅土地用于开发商务商办,未来项目周边将形成更大规模的青浦至高地标建筑群。形成的全新城市天际线,进一步确定青浦新城的中心所在。
本月热销:
低首付:
临地铁:
待售楼盘:
现房:
小户型:
新开盘:
环线:
lat:
31.167972
lng:
121.125431
排序:
368.00
占地面积:
21174.50m²
产权年限:
70年
外立面:
石材+铝板+玻璃
图片:







VR链接:
https://cloud10.3dnest.cn/work/?work_id=81s9cABXmKT&room_area_show=off
日照转发:
盘古云曦 日照模拟
得分:
0.00
单价:
5.90
选房建筑面积低:
120.00
选房建筑面积高:
210.00
土拍/房源组:
房源组